ROV KIEL 6000

Specifications & Logistics | Cruise Schedule & Statistics | ROV-Team | Image Gallery

FAT | ROVARK | ATA 1&2 | MSM10-3 | M78-2 | CE0913 | M80-3 | M81-2 | SO210 | ARK XXVI/2 | JC66 | JC67 | CE12010 | SO225 | SO229 | INDEX2013-2 | SONNE Test 7 | SO239 | SO242-2 | SO254 | PS108 | SO268 | SO276 | SO288 | SO295 | SO299 | M194 | PS143-1

Expedition CE0913 with RV CELTIC EXPLORER: SDNS - Fluid- and Gasseeps in the Southern German North Sea -

Chief Scientist: Dr. Peter Linke, IfM-Geomar

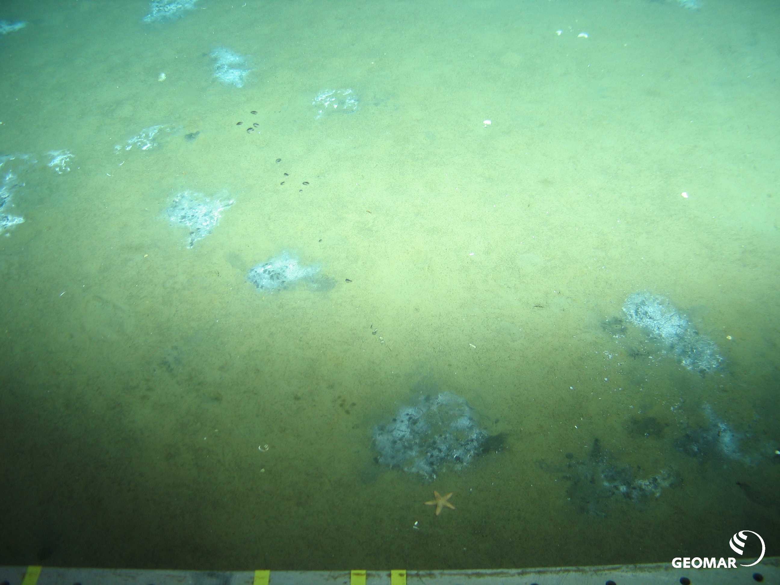
Expedition CE0913 with RV CELTIC EXPLORER was conducted in the frame of the third-party-funded project "Fluid- and Gasseeps in the Southern German North Sea" between the 27th of July and 14th of August, 2009. The mission led into the shallow water zone of the German Bight (off the island of Juist) and subsequently to Tommeliten, a methane-seep field in the Norwegian sector of the North Sea.

ROV KIEL 6000 was one of the mail tools and completed 14 scientific dives in total. Water depths ranged bween 23 and 80m, and thus the shallow water tether winch was used instead of the 6000 m deep water winch.

Photos (unless otherwise noted): ROV-Team GEOMAR; for enquiries on utilisation of image material please contact Public Relations Dept GEOMAR or Dr. James Taylor.