ROV KIEL 6000

Spezifikation & Logistik | Einsätze & Statistik | ROV-Team | Bildergalerie

FAT | ROVARK | ATA 1&2 | MSM10-3 | M78-2 | CE0913 | M80-3 | M81-2 | SO210 | ARK XXVI/2 | JC66 | JC67 | CE12010 | SO225 | SO229 | INDEX2013-2 | SONNE Test 7 | SO239 | SO242-2 | SO254 | PS108 | SO268 | SO276 | SO288 | SO295 | SO299 | M194 | PS143-1

 

Forschungsreise PS78 (ARKXXVI-2) mit FS POLARSTERN: Hausgarten

Fahrtleitung: Dr. Michael Klages, AWI, Bremerhaven

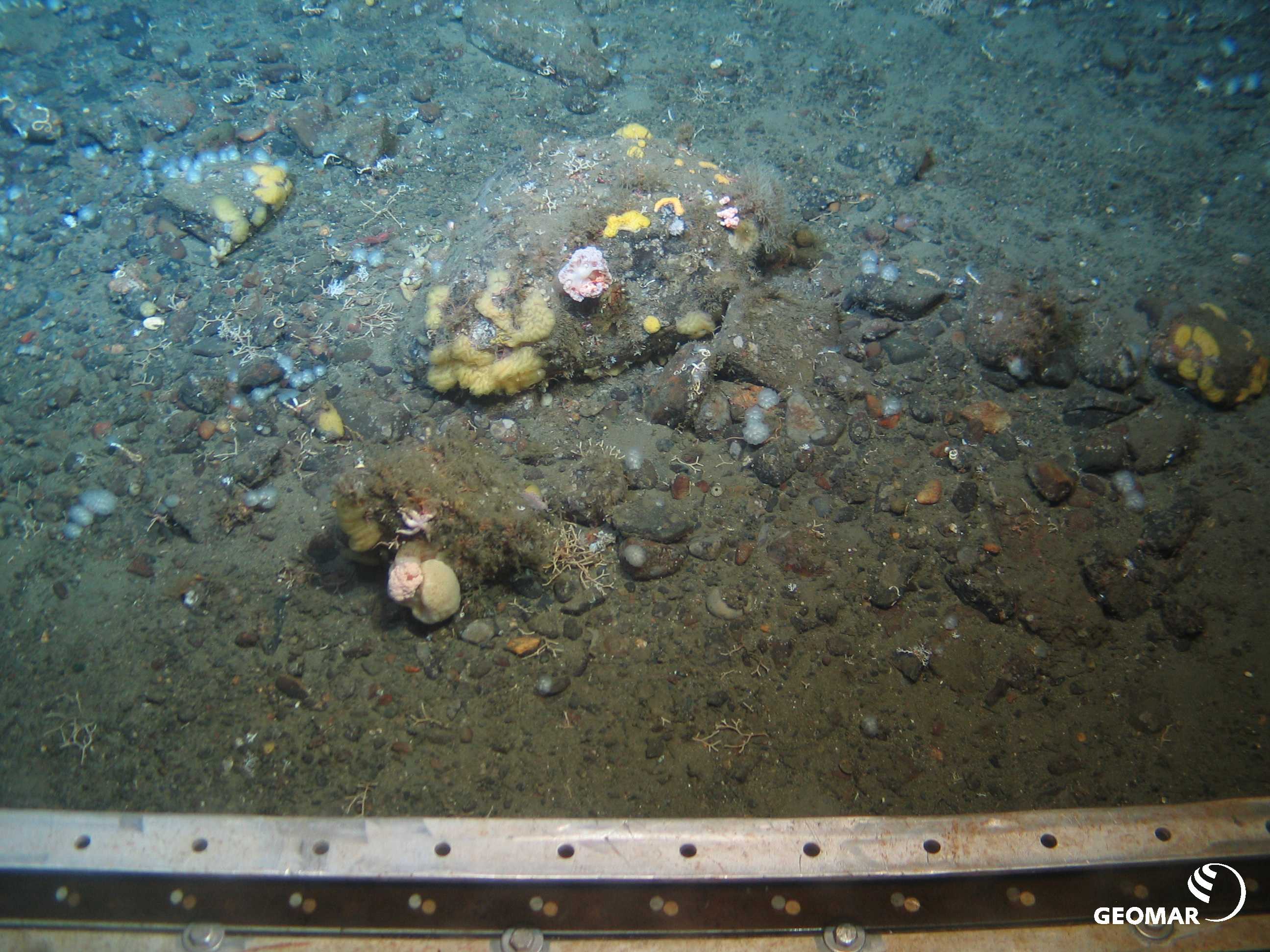
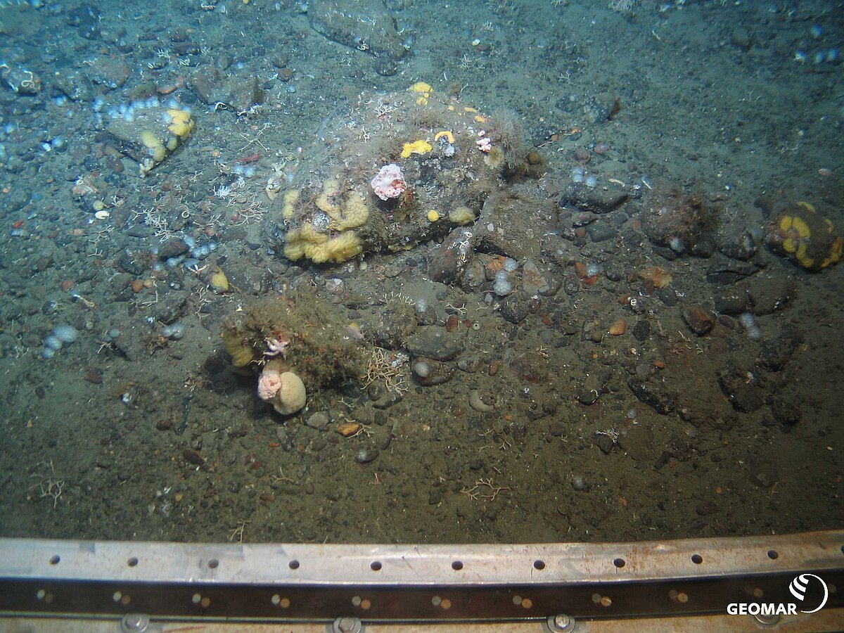
Die Expedition PS78 (ARK XXVI-2) fand zwischen dem 13.7. und 3.8.2011 zwischen Longyearbyen und Tromsö statt. Die ersten zwei Tauchgänge fanden unter Leitung von Dr. Olaf Pfannkuche (IfM-Geomar, Kiel) statt, und dienten zum einen der Erkundung des Schelfsockels westlich von Spitzbergen. Der zweite Teil der Reise führte zu Langzeitobservatorium "Hausgarten" des Alfred-Wegener-Institutes Bremerhaven, wo während dreier Tauchgänge Proben für Langzeitmessungen an am Meeresboden installierten Konstruktionen (Starvation Cages, Flume) genommen wurden. Ein letzter Tauchgang diente der Bergung einer abgefischten Verankerung.

Fotos (sofern nicht anders vermerkt): ROV-Team GEOMAR; Anfragen zur Nutzung von Bildmaterial richten Sie bitte an Pressestelle GEOMAR oder Dr. James Taylor.

 

  •  

    Wissenschaftliche Leitung 

    Dr. James Taylor
    GEOMAR Helmholtz-Zentrum für Ozeanforschung Kiel
    Wischhofstr. 1-3
    24148 Kiel
    Tel.: 0431 600-2134
    E-mail: jtaylor(at)geomar.de


    Technische Leitung 

    Martin Pieper (Dipl. Ing.)
    GEOMAR Helmholtz-Zentrum für Ozeanforschung Kiel
    Wischhofstr. 1-3
    24148 Kiel
    Tel.: 0431 600-2688
    E-mail: mpieper(at)geomar.de